Picadores

ARTRÓPODOS PICADORES

C. Pradera, Barcelona, 28-11-2016

1.- INTRODUCCIÓN

Escribo este artículo para dejar anotado los artrópodos comunes que pueden picar a personas. Me centro en aquellos que se encuentran en la Península Ibérica. Por mi trabajo, a menudo llama un cliente diciendo que lleva días padeciendo picaduras. En la mayoría de ocasiones, no sabe la causa de las picaduras y debo desplazarme hasta su domicilio para averiguarlo. Pero en unas pocas ocasiones, se hace difícil averiguar la causa. Y es por ello que escribo este artículo para ir anotando las diferentes posibilidades, lo cual significa que, cuando haga algún descubrimiento, lo modificaré y ampliaré.

La picadura se debe a la introducción en la piel de un aguijón o de un aparato bucal que puede ser con motivo de defensa o para succionar sangre. En la mayoría de casos, los artrópodos picadores introducen sustancias en el cuerpo que provocan una reacción defensiva que llamamos alergia. Se produce dolor e inflamación de la zona afectada. Y también, en algunos casos, se pueden dar reacciones hiperérgicas que provocan afectación de una parte importante del cuerpo. Hay que anotar que los artrópodos pueden provocar esta reacción hiperérgica también por contacto y por inhalación. Me reservo el apartado número 4 para ir anotando otros artrópodos que se alejan de la idea original del artículo.

He dividido el contenido en dos apartados. Por una parte están los artrópodos que necesitan de nuestra sangre para alimentarse, ya sea en todo su desarrollo o en una parte de este, para lo cual se valen de un aparato bucal diseñado para extraer sangre. Y por otra parte, están los que pican de manera ocasional y lo hacen para defenderse, para lo cual disponen de un aguijón en el extremo del abdomen o de unas mandíbulas capaces de inyectar veneno en parte anterior. El primer grupo de artrópodos no provoca dolor agudo, ya que introduce con sigilo su aparato bucal y dispone de sustancias que duermen la zona. Pero poco después de retirado el aparato, se produce la reacción alérgica en la que se inflama la zona y se notan picores. En algunos casos, la reacción puede aparecer horas después. En cambio, el segundo grupo de artrópodos sí provocan dolor intenso justo al recibir el aguijonazo o la mordedura, ya que se trata de una defensa que se ha de hacer notar.

Picaduras producidas por chinche de cama (Cimex sp)./ Desinsectador 09-2014

El aparato bucal de los artrópodos hematófagos es muy interesante. Se trata de una probóscide diseñada para introducirse en nuestra piel rasgándola. En su interior consta de dos tubos. Por uno inyectan sustancias que anestesian la zona y hacen fluir la sangre. Y por el otro succionan la sangre para alimentarse. El prurito que sentimos es causado por la reacción que el cuerpo experimenta a las substancias que nos han inoculado. Es de notar la reacción diferente que cada persona tiene ante la picadura. Los hay que tienen una erupción cutánea débil y no notan picores. Y los hay que notan dolor intenso y se les hincha visiblemente una amplia parte del cuerpo. También puede suceder que nos sensibilizamos a las picaduras y, al recibir nuevas, el cuerpo va reaccionando peor. Esto suele suceder ante las picaduras de chinches de cama (Cimex sp). Sin embargo, en otras ocasiones, el cuerpo parece acostumbrarse a las picaduras como es el caso de los mosquitos (Culicidae).

.

2.- PICADURAS DE ARTRÓPODOS HEMATÓFAGOS

Se trata de artrópodos que han evolucionado para especializarse en succionar la sangre de otros seres vivos. Han desarrollado aparatos bucales para poder penetrar a través de la piel y dar con un capilar. Disponen de probóscides que se han desarrollado a tal efecto o que han evolucionado desde probóscides diseñadas para succionar jugos de plantas. Los hay que introducen en la piel un fino aparato bucal y también los hay que rajan la piel para que sencillamente brote la sangre.

Los artrópodos hematófagos pueden ser clasificados desde la necesidad de extraer sangre. Los hay que necesitan la sangre en cualquier fase de su desarrollo como es el caso de las chinches de cama. Los hay que tan solo la necesitan en una etapa de su vida, como es el caso de las pulgas en su estadio adulto. Y por último, los hay que necesitan puntualmente sangre para el desarrollo de la puesta como es el caso de las hembras de los mosquitos.

2.1.- HEMATÓFAGOS EN TODO SU CICLO

2.1.1.- Cimícidos (Cimicidae).

Chinche común de cama (Cimex lectularius)./ Desinsectador 2013

Las especies de la familia de los cimícidos (Cimicidae) mantienen una estrecha relación con su hospedador, ya que todo su ciclo de vida está ligada a la ingesta de sangre. Tres especies pican a humanos: Cimex lectularius, Cimex hemipterus y Leptocimex boueti. Cada especie se ha desarrollado en distintas regiones de la Tierra, aunque con las migraciones y la globalización se han expandido. Cimex lectularius (chinche común) se encuentra en climas templados. Cimex hemipterus (chinche india) habita los trópicos y subtrópicos. Y Leptocimex boueti (chinche de murciélago) predomina en África occidental y en Sudamérica.

Las chinches se instalan cerca de las personas en lugares donde pasan largo tiempo descansando. Realizan incursiones desde sus escondrijos hasta su hospedador, succionan la sangre y retornan de nuevo a digerir el alimento. Las picaduras de cimícidos son para la mayoría de personas indoloras. Y cada ejemplar puede realizar múltiples picaduras para alimentarse. Por lo general, suelen dejar picaduras seguidas sobre las que se puede trazar una línea. Pican sobre partes que quedan al descubierto como pies y manos, hombros y cuello. La reacción a estas picaduras varía en cada persona y está relacionada con la respuesta alérgica. Hay personas que van sensibilizándose con cada picadura.

Descripción de las picaduras de cimícido según Cristina Irene Vera et alteri (2012):

Picaduras de chinche de cama(Cimex sp)./ Desinsectador 2015

«Las lesiones cutáneas aparecen en la piel a pocos minutos de la picadura o hasta 9 días posteriores (manifestaciones alérgicas tardías). Consisten en pápulas eritematosas, algunas infiltradas y otras de aspecto urticariano. Puede o no haber una vesícula central como en el prurigo. También se observan ampollas de gran tamaño que evocan penfigoide ampollar y éstas pueden asentar sobre piel eritematosa o normal. […] Al inicio pueden verse sólo máculas puntiformes eritematosas, habones o inflamación. Las pulgas, en cambio, suelen ocasionar una mácula puntiforme hemorrágica central y lesiones de características menos inflamatorias y edematosas, y no comprometen áreas de pliegues y genitales. Cuando las picaduras de las chinches son muy numerosas, por ejemplo en niños, se observa un verdadero rash papuloso. Las lesiones duran de 3 a 6 semanas sin tratamiento, y mientras las más antiguas curan, pueden aparecer nuevas. La disposición linear es sugestiva de esta patología, en especial en grupos de a tres. Se la ha denominado en “desayuno, almuerzo y cena” y estaría relacionada con el desplazamiento del insecto durante la alimentación. Esta disposición no es patognomónica ya que las pulgas también pueden ocasionarla. Asimismo se describen dispuestas en racimos o de forma anárquica.»

2.1.2.- Piojos (Pediculidae).

Piojo humano (Pediculus humanus)./ Wikipedia

El piojo que parasita a los humanos es Pediculus humanus. Los adultos miden entre 2’5 y 3 milímetros. Es un ectoparásito hematófago del cual hay dos subespecies indistinguibles por personas no expertas. Por una parte está el piojo del cuerpo (Pediculus humanus humanus), transmisor de enfermedades y que deposita sus huevos sobre la ropa. Y por otro está el piojo de la cabeza (Pediculus humanus capitis), que realiza todo su ciclo sobre la cabeza y no transmite enfermedades. El hábito moderno de limpieza regular de las ropas ha conseguido hacer desaparecer de los países del primer mundo a esta segunda subespecie.

La picadura del piojo de la cabeza es indolora, pero se desarrolla alergia a su saliva, lo cual provoca picor. Esta reacción alérgica depende de cada persona y puede empezar días o semanas después de que los piojos colonicen una cabeza. Las picaduras se pueden observar como pequeños granos rojos en el cuero cabelludo, detrás de las orejas o en la nuca. Esta picazón lleva a la persona afectada a rascarse provocando pequeñas heridas en los granos llegándose a infectar.

2.1.3.- Ladillas (Pthiridae).

Ladilla (Phthirus pubis)./ Wikipedia

La ladilla que parasita a los humanos es Pthirus pubis. Como el piojo humano de la cabeza, es un ectoparásito hematófago, pero que se ha especializado en vivir sobre la zona púbica de nuestro cuerpo. Mide entre 1 y 3 milímetros de largo. La transmisión entre personas es por contacto sexual. La infestación causa un picor en la zona púbica que se empieza a notar una semana después de recibir el contagio. Las ladillas pueden alimentarse muchas veces cada día. Este prurito va en aumento con el desarrollo de la infestación, la cual se nota especialmente durante la noche. Al rascarse la zona púbica, la persona se provoca irritación y pequeñas heridas con las uñas que den lugar a pequeñas infecciones de la piel.

2.1.4.- Ácaros de las aves.

Ornithonyssus sylvarum./ Blaine Mathison

Los ácaros de las aves son artrópodos pequeños (hasta 1 mm de largo) y aplanados que parasitan a las aves. Tienen un color blanco translúcido que se transforma en rojo-marrón cuando realizan la ingesta de sangre. Existen varias especies que parasitan aves pertenecientes a los géneros Dermanyssus (familia Dermanyssidae) y Ornithonyssus (familia Macronyssidae). Las especies más importantes por su impacto sobre las aves de corral son el dermasino de las gallinas (Dermanyssus gallinae), y el ornitoniso de las gallinas (Ornithonissus sylviarum). Entre ambas especies existen diferencias de comportamiento. Mientras que el dermasino accede a las aves para alimentarse, el ornitoniso crece sobre estas. Y mientras que el dermasino se reproduce tan solo en presencia de aves, el ornitoniso puede parasitar ratas y ratones.

El tamaño tan pequeño de estos ácaros los hace casi indistinguibles. Son visibles cuando hacen su aparición en gran número. A ello ayuda que puedan completar su ciclo de vida en 7 días a buena temperatura y con acceso a las aves. En poco tiempo pueden llegar a ser miles. Aparecen en las casas cuando el nido es abandonado. A falta de un hospedador, entran en busca de alternativas como animales domésticos o personas. Cada ácaro pica varias veces. Las personas pueden notar las picaduras al reaccionar alérgicamente a su saliva. El ornitoniso puede sobrevivir varias semanas sin ingesta de sangre y, el dermasino, varios meses.

2.1.5.- Garrapatas duras (Ixodidae).

Hyalomma sp./ Desinsectador 07-2013

Las garrapatas duras son arácnidos hematófagos que poseen un caparazón duro y se alimentan de la sangre de mamíferos. Los géneros comunes en la Península Ibérica que afectan al ganado, animales domésticos y personas son Rhipicephalus, Ixodes, Dermacentor y Hyalomma. Los adultos suelen medir entre 3 y 4 milímetros de largo. Pero las hembras adultas saciadas pueden llegar a triplicar su largura. Las garrapatas completan su ciclo vital alimentándose de la sangre de uno o varios hospedadores, dependiendo de la especie. Para ello se valen de un aparato bucal especial con el cual perforan la piel y se adhieren fuertemente a ella. Tras un período de ingesta de sangre, se suelta y se deja caer al suelo donde se esconde. Entonces digieren la sangre y buscan de nuevo un hospedador. Para ello, trepan a una planta esperando a que pase. Pueden permanecer largo tiempo entre ingestas.

Al subir a un hospedador, la garrapata busca un lugar del cuerpo caliente y húmedo como axila, ingle o cabello. Se adhieren con fuerza a la piel y comienzan a chupar sangre. Este proceso es por lo general indoloro. Y el hospedador no se da cuenta de ser portador de una garrapata. Sin embargo, se puede dar una reacción alérgica en algunas personas que están expuestas a ellas como ganaderos. La zona donde queda anclada queda levemente inflamada. El problema llega si no la retiramos de manera correcta. Al extraerla de manera brusca, parte de la piel puede quedar adherida al aparato bucal de la garrapata. Esto puede provocar una inflamación e infección. En medio urbano, la garrapata común es Rhipicephalus sanguineus, conocida como garrapata parda del perro. La picadura de garrapatas puede transmitir enfermedades bacterianas como la borreliosis, la rickettsiosis y la tularemia, enfermedades víricas como la fiebre hemorrágica de Crimea-Congo y enfermedades parasitarias como la babesiosis.

2.1.6.- Garrapatas blandas (Argasidae).

Las garrapatas blandas son arácnidos hematófagos que poseen un caparazón blando. Se alimentan de sangre de aves. En medio urbano, puede tener incidencia sobre las personas la especie Argas reflexus, conocida como garrapata europea de las palomas. Esta es un habitante habitual de los nidos de palomas. Puede picar a personas en ausencia de aves. Se encuentra descrito el caso de reacción sistémica por sensibilización a esta garrapata en personas que viven en pisos altos donde hay palomares o lugares de nidificación.

2.2.- HEMATÓFAGOS EN UNA PARTE DE SU CICLO

2.2.1.- Pulgas (Siphonaptera).

Pequeño insecto de entre 1’5 y 3 milímetros. Es fácil de reconocer en su forma adulta gracias a su cuerpo aplanado y a su gran capacidad de salto. Existen muchas especies de pulgas. Cada una está especializada en un solo huésped. Aunque si este les falta, se las apañan bien con otro parecido. En el medio urbano, las especies más comunes son la pulga del perro (Ctenocephalides canis) y la pulga del gato (Ctenocephalides felis). Es frecuente la infestación de viviendas debido a que gatos y perros son dos buenos hospedadores. Y estas dos especies son muy prolíficas provocando grandes infestaciones que surgen en pocos días, casi como surgidas de la nada. Este hecho es debido a que los adultos aparecen de una manera sincronizada.

Ctenocephalides sp./ Desinsectador 10-2013

Otra pulga relevante en importancia es Pulex irritans, compartida por el hombre y el cerdo. Ligada también a los animales domésticos está la pulga del conejo (Spilopsyllus cuniculae). De manera anecdótica se encuentran otras pulgas relacionadas con ratas (Xenopsylla cheopis, Nosopsyllus fasciatus) y ratones (Leptosylla segnis).

La picadura de pulga es característica, ya que se forma una hinchazón roja en forma de círculo con un punto oscuro en el centro. El cuerpo reacciona a la picadura lo cual provoca picor. Esta pápula tarda una semana en desaparecer. La picadura de pulga se puede confundir con la de chinche de cama (Cimex). También una misma pulga puede picar varias veces para alimentarse.

2.2.2.- Mosca del establo (Muscidae).

Mosca del establo (Stomoxys calcitrans)./ Desinsectador 01-2016

La mosca del establo (Stomoxys calcitrans) mide entre 5 y 7 milímetros. Es fácilmente distinguible por parecerse a la mosca doméstica (Musca domestica) y posee un aparato picador chupador. Esta especie vive cerca de los animales estabulados (ganado bovino, ovino, caprino, porcino y aviar) a los que pica como. Pero también pica a animales domésticos (perros y gatos) y a las personas. Pican los adultos, tanto el macho como la hembra, entre dos y tres veces por día, y durante cinco minutos por cada ingesta. Son vectores de enfermedades y un población alta influye en el rendimiento de los animales. Tienen un vuelo silencioso. En las personas, se dirigen hacia las zonas desnudas. En especial, se posan en las extremidades inferiores. La picadura es dolorosa. Produce una fuerte inflamación (mácula eritematosa) con una gota de sangre en el centro y prurito.

2.2.3.- Mosca de los cuernos (Muscidae).

Mosca de los cuernos (Haematobia irritans)./ Desinsectador 07-2018

La mosca de los cuernos (Haematobia irritans) mide entre 3 y 5 milímetros. Esta especie vive está muy relacionado con el ganado bovino y equino, principalmente. Hace vida sobre estos animales. Los adultos, tanto la hembra como el macho, se alimentan exclusivamente de la sangre de su hospedador. La hembra se aleja para poner los huevos sobre los excrementos de los animales que parasita. Pican muchas veces al día. Pueden aparecer a centenares sobre los animales causándoles grandes molestias y pérdidas en producción. Son vectores de enfermedades. Pueden picar a otros animales aunque no es habitual. La picadura es rápida y poco dolorosa.

2.2.4.- Hiposbóscidos (Hipoboscidae).

Mosca borriquera (Hippobosca equina)./ Fauna Germanica, Diptera, 1793

Los hipobóscidos son una famila de dípteros de cuerpo aplastado dorsoventralmente y extremidades fuertes para agarrarse al pelaje o al plumaje de los diversos animales que parasitan. Cada especie se encuentra adaptada al animal que parasita. Algunas especies carecen de alas al estar completamente adaptados a la vida como ectoparásito.

El género Hippobosca, entre las que destaca la mosca borriquera (Hippobosca equina), comprende a moscas parásitas que chupan la sangre (hematófagas). Afectan de manera importante a los equinos (caballos, burros y asnos), pero también pueden afectar a otros mamíferos domésticos. Y también pueden picar ocasionalmente a las personas. Son de vuelo corto y no abandonan a su huésped fácilmente a no ser que se la obligue. Se aleja brevemente para regresar de nuevo sobre su hospedador. Pican tanto el macho como la hembra. Las picaduras son largas, de 15 minutos. Y, al no poder almacenar la sangre, pican a menudo. Pueden vivir cuatro meses. La hembra desarrolla en su interior el huevo y la larva. Cuando esta se encuentra a punto de pupar, entonces la hembra la expulsa. Su picadura es casi imperceptible y poco irritante.

2.2.5.- Ácaros otoñales (Trombiculidae).

Los trombicúlidos son una familia de ácaros considerados parásitos cutáneos de una gran variedad de animales. Tienen una distribución mundial. En Europa destaca la especie Neotrobicula autumnalis, cuyas larvas (0,2 mm) se suben a los animales vertebrados y se adhieren a la piel gracias a sus piezas bucales (quelíceros). Son conocidos como ácaros de las cosechas o ácaros otoñales. Son de color rojo y el adulto alcanza 1 milímetro de largo. Se los encuentra en zonas húmedas de montaña.

Larva de Neotrombicula autumnalis./ J.M. Lobo Alonso 1993

Neotrombicula autumnalis vive en el suelo donde se refugia de la sequía en verano o del frío en invierno. Tras el verano, nacen las larvas de los huevos y se suben a las plantas de forma agrupada a la espera de que pase un hospedador. Lo hacen en gran número. Pueden atacar tanto a animales de sangre fría como caliente. Cuando acceden sobre su víctima, buscan zonas muy concretas del cuerpo donde la piel es más fina y puede fijarse mejor. En las personas se sitúan en tobillos, ingles, axilas, etc. No poseen la capacidad de fijación de las garrapatas por lo que al rascarnos los podemos hacer caer. En su estadio adulto este ácaro es cazador.

La picadura de la larva es indolora, pero tras esta el cuerpo reacciona a la inyección de su saliva. Se produce un fuerte prurito y una importante dermatitis. Es una afectación de carácter estacional (durante el otoño hasta la llegada del frío intenso) y geográfico (praderas de montaña, sobre los 1.000 metros).

2.3.- HEMATÓFAGOS PARA DESARROLLO DE LA PUESTA

2.3.1.- Mosquitos (Culicidae).

Aedes albopictus./ Desinsectador 07-2016

Los mosquitos propiamente dichos son pertenecen a la familia de los culícidos (Culicidae). Se caracterizan porque las hembras poseen un largo aparato bucal (probóscide) especializado en perforar la piel de animales y extraer su sangre. Las hembras necesitan la ingesta de sangre para el desarrollo para que se produzca la maduración de los ovarios y el desarrollo de los huevos. Cada especie se especializa en tomar principalmente sangre de mamíferos, aves o anfibios. Los mosquitos son transmisores de patógenos que provocan enfermedades como virus (dengue, chikungunya, fiebre amarilla), protozoos (paludismo) o nemátodos (filariasis linfática). Los culícidos están constituidos por diversos géneros siendo los más importantes, por su incidencia sobre los humanos, Culex, Aedes, Ochlerotatus y Anopheles. Cada género está especializado en la transmisión de determinadas enfermedades.

Los culícidos se encuentran por todo el planeta, ya que las larvas se encuentra en casi cualquier masa de agua estancada sea cual sea su dimensión mientras tenga los nutrientes necesarios. Puede desarrollarse en huecos de árboles, en charcos junto a ríos, en remansos de ríos, cisternas, bidones, etc. El hecho de que los culícidos necesiten sangre para el desarrollo de sus huevos los convierte en una molestia en aquellas zonas geográficas húmedas y calurosas donde se desarrollan bien. Su picadura es molesta. En seguida aparece una hinchazón y enrojecimiento de la zona afectada. Seguida de picor que puede variar dependiendo de la especie que ha picado. Por lo general, la picadura de Culex es más benigna que la de Aedes. Parece que el cuerpo siente un acomodamiento progresivo a las picaduras seguidas. Así, cuando hace aparición de mosquito tigre (Aedes albopictus) en una zona, las primeras picaduras desarrollan una fuerte inflamación. Con el tiempo, las siguientes picaduras decrecerán en sintomatología.

2.3.2- Moscas negras, simúlidos (Simuliidae).

Mosca negra (Simulium sp./ Desinsectador 08-2016

Los simúlidos que pican a personas son conocidos como moscas negras por su color negruzco. Son de pequeño tamaño (2-3 mm), con un cuerpo aplanado y jorobado. El género Simulium es el responsable en la Península Ibérica de dolorosas picaduras. Las larvas se desarrollan en medio acuático en cursos fluviales de corriente fuerte. Viven agarradas a plantas acuáticas (macrófitos) y se alimentan de detritus y microorganismos en suspensión. Las zonas donde se desarrolla la mosca negra son un problema para animales y personas. Además, tiene gran capacidad de dispersión llegando a zonas distantes en 100 kilómetros de su zona de cría. Su máxima actividad es al mediodía con el sol en lo alto. La mosca negra es vector de enfermedades.

Como en el caso de los mosquitos, es la hembra la que pica. Pero a diferencia de estos, la hembra no posee probóscide, sino un rudimentario aparato bucal de tipo cortador chupador. Para acceder a la sangre la hembra ha de realizar un corte por el que fluya la sangre. Es por ello que la picadura es más dolorosa que en el caso de los mosquitos. Y es también característico que en el centro de la picadura, aparezca una gotita de sangre. La picadura es indolora mientras se está realizando, puesto que es segregada una saliva con propiedades anestésicas. Pero al pasar unos minutos se sienten fuertes picores que se pueden sentir durante horas o días. La herida tarda semanas en desaparecer.

2.3.3.- Beatas, culicoides (Ceratopogonidae).

Culicoides imicola./ Wikipedia

Los ceratopogónidos del género Culicoides pueden provocar una picadura muy irritante en las personas. Al igual que los mosquitos, son las hembras las que pican. Son popularmente conocidas como beatas o cínifes enanas. Tienen un tamaño pequeño (1’5 a 3 mm) por lo cual son difíciles de ver. Tienen un cuerpo estrecho y jorobado. Las alas son largas y anchas, y están moteadas. Como en el caso de los mosquitos, las hembras son hematófagas. Poseen un aparato bucal de tipo cortador chupador. Realizan pequeños cortes en la piel para que fluya la sangre y la succionan con su trompa.

Las especies del género Culicoides se alimentan de mamíferos y de aves. Son oportunistas y pican a cualquier especie animal incluida el hombre. Tanto el macho como la hembra se alimentan de jugos azucarados de plantas y flores. Y también de la melaza segregada por los pulgones. Se dispersan poco desde las zonas de cría y forman enjambres para realizar la cópula. Son principlamente vectores de enfermedades entre animales como la Legua azul o la Peste equina africana. Pueden transmitir virus, protozoos y nemátodos. En algunas regiones tropicales son vectores de enfermedades entre personas.

Respecto a las picaduras, Erika Santamaría et alteri (2008) escriben lo siguiente:

«Los insectos del género Culicoides, pequeños dípteros hematófagos, de distribución cosmopolita, son importantes en salud pública por la molestia que ocasionan sus picaduras, en especial, cuando se presentan con gran abundancia y por su papel como transmisores de diversos agentes (virus, protozoos y nemátodos) que causan enfermedades a los humanos y a los animales. Además, dependiendo del grado de sensibilidad de las personas a los componentes de la saliva de estos insectos, las picaduras pueden causar reacciones inmediatas o tardías que van desde dermatitis alérgicas, pápulas y pústulas -producto de sobreinfección por rascado-, hasta reacciones más graves como eccemas, descamación y cicatrices con alteración de la pigmentación de la piel.»

2.3.4.- Jejenes, flebótomos (Psychodidae).

Phlebotomus sp./ Desinsectador 07-2014

Los flebótomos son pequeños insectos voladores (entre 2 y 3 mm), de color amarillento, con el cuerpo y las alas cubiertas de abundantes pelos. Son conocidos popularmente como jejenes. La hembra, de la misma manera que la de culícido, necesita sangre para la maduración de los huevos. Además de animales, puede picar a seres humanos. Penetran en las casas al anochecer buscando personas o animales domésticos. Su vuelo no produce sonido audible. Busca cualquier parte al descubierto de su víctima. Su picadura es inadvertida. Puede picar varias veces. Y hasta que no se siente la irritación posterior a la picadura no nos damos cuenta de su presencia. Al ser de dimensiones tan pequeñas, en muchas ocasiones la víctima no lo localiza. La picadura se hincha rápidamente, pero desaparece en horas si no la víctima no se rasca.

Los jejenes tienen hábitos nocturnos. Reposan durante el día entre la vegetación o en el interior de las casas. Las larvas se desarrollan en lugares a la sombra donde haya humedad y con mucha materia orgánica en descomposición de la que se alimenta. Además de la molestia que produce su picadura, los jejenes pueden transmitir enfermedades como la leishmaniasis cutánea (Botón de Oriente) o la leismaniasis visceral (Kala-Azar). En la Península Ibérica se encuentran Phlebotomus perniciosus y P. ariasi.

2.3.5.- Tábanos (Tabanidae).

Tábano equino Haematopota sp./ Desinsectador 2016

Los tábanos son moscas robustas de hasta 3 cm. Poseen ojos prominentes y de colores iridiscentes. Solo pican las hembras temporalmente cuando necesitan madurar los huevos. Fuera de esta época los adultos se alimentan de jugos de plantas. Abundan en zonas donde haya agua. Dependiendo de la especie, las hembras depositan los huevos sobre el agua o sobre suelos blandos y húmedos donde se desarrollan las larvas, las cuales son depredadoras.

Tanto las larvas como la hembra adulta pueden provocar una dolorosa picadura. Hay que evitar manipular las larvas. El vuelo de los adultos es silencioso. La hembra puede pica tanto al ganado como a las personas. La picadura es muy dolorosa, ya que la hembra tiene un aparato bucal que corta la piel para hacer fluir la sangre y poderla chupar. Deja la zona afectada enrojecida y prurito. Puede desarrollarse una infección, por lo que se requerir un tratamiento con antibióticos. Las especies de tábanos comunes que podemos encontrar pertenecen a los géneros Tabanus, Chrysops, Hybomitra y Haemaotopota.

.

3.- PICADURAS DEFENSIVAS DE ARTRÓPODOS

Las picaduras ocasionadas por estos artrópodos son de carácter defensivo y no producto de una relación entre huésped y hospedador. En este contacto, el atacante muerde con su aparato bucal o bien introduce un veneno a través de un aguijón.

3.1.- HIMENÓPTEROS (HYMENOPTERA)

Existe una gran cantidad de especies de abejas, avispas y hormigas que pueden responder de una manera agresiva. Tienen en común que el órgano destinado a la puesta de huevos ha evolucionado para convertirse en un aguijón. Por tanto, solo las hembras tiene capacidad de picar. El veneno está compuesto de diferentes sustancias que provocan una irritación. La picadura produce un fuerte dolor seguido de picor que puede durar horas. Su intensidad depende de la parte del cuerpo expuesta. En la zona donde ha sido introducido el veneno se produce un enrojecimiento y una hinchazón. La reacción alcanza una zona de un máximo de 10 centímetros de diámetro. Se produce una reacción alérgica que puede ser más o menos grave dependiendo de la respuesta del sistema inmunológico de la persona.

3.1.1.- Abejas y abejorros.

Apis mellifera./ Desinsectador 2013

Hay un gran número de especies de abejas que pueden picar. De la familia Apidae tenemos la abeja de la miel (Apis mellifera) y el abejorro (Bombus terrestris). Ambos picarán para defender su nido de invasores y los perseguirán. La picadura de ambos es dolorosa. La abeja de la miel posee un aguijón aserrado que se desprende causándole la muerte y queda fijado a la piel de la víctima. Pueden picar muchas otras abejas de otras familias como la abjeas alfaretas (Osmia sp), pero solo en caso de que se encuentren atrapadas. También pican las abejas cortadoras de hojas (Megachile sp) o las del género Colletes.

3.1.2.- Avispas sociales.

Vespula sp./ Desinsectador 2016

Las avispas son los himenópteros que tienen una mayor incidencia sobre las personas en cuanto a picaduras. Y en concreto, aquellas avispas que aprovechan las edificaciones para instalar sus avisperos y protegerse de las inclemencias del tiempo. Las que más problemática causan son las avispas papeleras pertenecientes al género Polistes (Polistes dominula, P. gallicus) y al género Vespula (Vespula germanica, V. vulgaris). Las avispas del género Polistes forman colonias pequeñas y se instalan en cualquier agujero de la fachada de edificios. Son más agresivas que las pertenecientes al género Vespula, el cual forma colonias con numerosos individuos. Estas pueden construir sus avisperos en el suelo o en huecos de pared. Las obreras pican para defenderse y pueden clavar el aguijón repetidas veces. Parecido comportamiento a Vespula, se encuentra el género Dolichovespula, poco habitual en zonas urbanizadas.

Otro género de avispas sociales a destacar es Vespa, compuesto por especies de mayor tamaño que las anteriores. Endémica de la península ibérica está la especie Vespa crabro. En los últimos años ha hecho aparición en el norte peninsular la avispa asiática (Vespa velutina), la cual representa una gran problemática para las abejas (Apis mellifera) y otros artrópodos, y también para las personas por su agresividad. También se ha introducido la avispa oriental (Vespa orientalis) proveniente de países de Europa del Este.

3.1.3.- Sclerodermus domesticus.

sclerodermus-domesticus-desinsectador-2016-01

Sclerodermus domesticus./ Desinsectador 2016

Se trata de una avispa parasitoide de la familia de los betílidos (Bethylidae) que realiza parte de su ciclo sobre las carcomas de la madera de la família de los anóbidos (Anobiidae). La hembra se adentra en las galerías de las carcomas y busca sus larvas en crecimiento para depositar en su interior los huevos. Las larvas de S. domesticus que nacen de los huevos se alimentan de la larva de la carcoma sin matarla hasta que completan se llegan a su estadio adulto. Las hembras de S. domesticus pueden picar a los humanos de manera ocasional al caer sobre estos. Esto sucede cuando hay algún mueble atacado por carcoma en las viviendas. Es habitual que esto suceda en dormitorios cuando está afectada la estructura de la cama, el cabecero, la mesita o algún armario. Los aguijonazos se pueden producir en rápida sucesión formando grupos de 4 a 6. De la misma manera con cualquier otra avispa provista de aguijón, después de la picadura se produce un dolor agudo e intenso que puede perdurar días. El adulto mide unos 3 y 4 milímetros de largo.

3.1.4.- Hormigas (Formicidae).

Alado de la subfamilia Ponerinae./ Desinsectador 2014

Los formícidos de subfamilias como Myrmicinae o Ponerinae poseen aguijón que pueden clavar en su atacante para defenderse o bien que pueden utilizar para inmovilizar presas. Aunque muchas especies de estas subfamilias poseen aguijón, no todas son capaces de inyectar ácido fórmico. Y también las hay que tienen ácido fórmico, pero no poseen aguijón, como es el caso las especies del género Formica que crean montículos de pinaza en zonas de alta montaña. De entres todas las especies, destaca la exótica Hypoponera punctatissima. Una especie con comportamiento nómada (tramp ant) cuyas hembras, durante la enjambrazón, pueden picar provocando importantes problemas. Existen numerosos casos de las picaduras provocadas por esta especie. John H. Koltz et alteri (2005) refieren dos casos ocurridos en EUA en los que hubo personas que recibieron picaduras importantes.

3.1.5.- Mutílidos (Mutillidae).

Mutilla sp./ Desinsectador 2014

Las especies pertentecientes a esta familia son conocidas como hormigas de terciopelo por tener un aspecto semejante a una hormiga y el cuerpo cubierto de vello. Existe un marcado dimorfismo sexual entre el macho, provisto de alas, y la hembra, la cual es áptera. El macho encuentra a la hembra y copula. Esta deposita los huevos cerca de larvas o pupas de otros himenópteros (abejas y avispas). La larva se alimenta de su hospedador sin llegar a matarlo para poder completar su crecimiento hasta que pupa. Es, por tanto, un parasitoide. La hembra está provista de un aguijón y puede picar. Si es molestada lo clava repetidas veces para defenderse. Su picadura es dolorosa. Algunas especies inyectan gran cantidad de veneno.

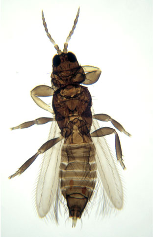
3.2.- TRIPS, TRÍPIDOS (THYSANOPTERA).

Thysanoptera./ Wikipedia

También conocidos como arañuelas, son insectos de pequeño tamaño de entre 1 y 6 milímetros, aunque por lo general entre 1 y 3. En su mayoría viven a expensas de los vegetales succionando su savia. Algunas especies pueden constituirse en plaga ocasionando pérdidas económicas. Poseen un aparato bucal con el cual laceran la superficie de las plantas y succionan la savia que se derrama. Algunas especies pueden picar al hombre como los de la cebolla (Thrips tabaci,T. imaginis), y los de los pastos y cereales (Chirothrips aculeatus, Limothrips cerealicum, etc).

Según documento de la Junta de Andalucía (Invertebrados artrópodos, Grupos de animales con incidencia sanitaria) en su página web: «Aunque se alimentan de jugos vegetales, constituyendo en muchos casos plagas agrícolas, en ocasiones, especialmente en días cálidos y sin viento, pueden formar enjambres muy molestos para las personas, ya que tienen tendencia a deslizarse bajo la ropa e introducirse en orejas, boca y ojos provocando cierta irritación. Además son capaces de infringir pequeñas mordeduras en la piel con un dolor punzante, aunque sin ninguna consecuencia a los pocos segundos.»

3.3.- CHINCHES (HEMIPTERA)

Orius insidiosus./ Wikipedia

Las chinches verdaderas pertenecen al suborden Heteroptera (Hemiptera). Tienen una aparato bucal perforador y succionador con el cual extraen de las plantas sus jugos para alimentarse. También los hay que utilizan este aparato para alimentarse de la hemolinfa de otros insectos. Un caso especial son las chinches que se alimentan de sangre de mamíferos y aves como es el caso de los cimícidos (Cimicidae) y algunos redúvidos (Reduviidae). Existen especies que pueden ocasionar molestias en las personas de manera ocasional como por ejemplo Orius insidiosus (Anthocoridae). El adulto tiene una longitud de entre 2 y 5 milímetros. Son depredadores de otros insectos. Se alimentan de áracos y trips, y son por ello utilizados en control biológico contra especies perjudiciales para los cultivos.  Son comunes en parques y jardines. Y pueden ocasionar picaduras dolorosas en las personas, aunque no es venenosa.

3.4.- ARÁCNIDOS (ARACHNIDA)

3.3.1.- Arañas (Araneae).

Loxosceles rufescens./ Desinsectador 2014

La picadura de arañas a humanos es poco habitual si tenemos en cuenta que conviven con nosotros numerosas especies. En las casas, podemos encontrar especies capaces de pica, sin embargo estas arañas están acostumbradas a interiores y rehuirán de nosotros sin presentar una actitud agresiva. Las picaduras suelen darse de noche cuando accidentalmente las molestamos. Inyectan un veneno que utilizan para matar o inmovilizar a sus presas. La picadura de las arañas se distingue de otros artrópodos por la presencia de dos pequeña perforaciones muy próximas entre sí que corresponden a sus mandíbulas.

En interiores de la Península Ibérica podemos encontrar especies pertenecientes al género Steatoda, Tegenaria y Loxosceles. Las especies del género Steatoda son muy habituales en interiores y pueden producir pequeñas punzadas si se introducen debajo de la ropa. Las del género Tegenaria pueden provocar daños más importantes que consiste en dolor ardiente, ulceración y posible necrosis de la zona afectada. Mucho más importantes es el efecto de las del género Loxosceles. En la zona mediterránea abunda Loxosceles rufescens, la cual puede producir picaduras muy dolorosas que devienen en importantes lesiones por necrosis de la zona afectada. La curación de la zona afectada es lenta y requiere meses. Esta especie está emparentada con Loxosceles reclusa y L. lateae, las cuales se encuentran en el continente americano y son más peligrosas. Las picaduras son poco habituales y suelen producirse durante la noche cuando de manera accidental se las molesta.

3.3.2.– Ácaros de la paja (Pyemotidae).

Pyemotes ventricosus, publicado en ‘Anthophora retusa’, Inglaterra, 1853.

La picadura del ácaro de la paja (Pyemotes ventriculosus y P. tritici) sobre las personas tiene una forma de cometa, lo cual la hace particular y fácilmente indentificable. Estos ácaros son ectoparásitos de un gran número de especies de insectos. Tan solo ataca a las personas de manera accidental cuando se encuentra en gran número sobre insectos que infestan productos almacenados como cereales, leguminosas, semillas, etc, o bien parasitando insectos xilófagos como las carcomas de la madera (Anobiidae). Por tanto, sus principales víctimas serán personas en relación con las faenas del campo como cosecha, transporte y almacenaje.

Pyemotes ventriculosus y P. tritici se alimentan de las larvas de los insectos. Las hembras atraviesan con sus quelíceros la cutícula.  Los huevos se desarrollan en el interior del cuerpo de la madre. Surgen primero los machos que ayudan a salir a las hembras y copulan. Las picaduras de ácaros provocan dermatitis en las personas.

3.3.3.- Escorpiones, alacranes (Scorpiones).

Escorpión negro (Euscorpius flavicandis)./ Desinsectador 2013

En la Península Ibérica existen varias especies entre las cuales destaca el escorpión amarillo (Buthus occitanus) y el escorpión negro o de cola amarilla (Euscorpius flavicandis), los cuales se pueden encontrar cerca de las casas, especialmente en el ámbito periurbano y rural. Su larga cola terminada en aguijón es utilizada para inyectar el veneno con el que inmovilizan las presas que han capturado con sus pinzas.

El escorpión amarillo se distribuye por gran parte del Mediterráneo. Su tamaño es de unos 60 milímetros de largo. Habita en lugares secos y pedregosos. Es de hábitos nocturnos y durante el día descansa bajo las piedras. Su picadura es muy dolorosa. El escorpión negro, en cambio, es de menor tamaño, de unos 45 milímetros de largo. Es también de distribución mediterránea. Es típico de zonas húmedas y se encuentra activo durante el día. Su picadura no es dolorosa.

 

3.4.- MIRIÁPODOS (MYRIAPODA).

Scutigera coleoptrata./ Desinsectador 2013

Entre los miriápodos nos econtramos con los ciempiés (Chilopoda), capaces de infringir picaduras dolorosas en las personas. Por lo general, son depredadores que tienen hábitos nocturnos. Se refugian bajo piedras y hojarasca. Y en las ciudades son habituales en cámaras sanitarias y zonas de bajantes de aguas residuales. Se alimentan de pequeños artrópodos que capturan y matan inyectando veneno.

En la Península Ibérica las especies más peligrosas pertenecen al género Scolopendra (Scolopendra cingulatta y S. canidens), ya que sus picaduras son dolorosas. Las escolopendras clavann el primer par de patas que hacen de pinzas en las cuales hay glándulas venenosas.. En las casas, se puede encontrar al ciempiés doméstico (Scutigera coleoptrata) que pueden también picar. También se encuentran ciempiés del género Lithobius.

.

4.- NO PICADORES

4.1.- Arador de la sarna (Sarcoptes scabiei).

Sarcoptes scabei./ Wikipedia

Es importante destacar este ácaro perforador de la piel que produce la sarna (escabiosis). Quizás debido a la gran movilidad de las personas en la actualidad, la incidencia de este ácaro parece no disminuir. Además, hay personas que han contraído la sarnta y que, al sentir picores durante la noche, pinesan que tienen una infestación de chinches de cama (Cimex sp). El ácaro de la sarna (Sarcoptes scabiei) excava galerías bajo la piel. La hembra, de 0’35 mm de larga, inicia una galería y va depositando huevos tras de sí para morir al final quedando enterrada. La puesta es de 2-3 huevos por día durante dos meses. Cada día perfora entre 0’5 y 5 milímetros. Tanto el macho como las larvas no excavan galerías, sino una pequeña bolsa en donde se esconden y realizan la muda. Durante la noche, al calor de la cama, el ácaro de la sarna es más activo y produce prurito en las personas afectadas. Este prurito es una reacción alérgica del cuerpo ante la presencia del ácaro. Aparecen pequeños granos y pequeñas úlceras con costras. Según bibliografía, este ectoparásito no sobrevive fuera de la piel más allá de tres días.

.

5.- BIBLIOGRAFÍA

– Fernández-Rubio, Fidel; Luis Moreno Fernández-Caparrós, Óscar Soriano Hernando: Artrópodos en Medicina y Veterinaria. Ministerio de Defensa, 2014, tercera edición.

– González Fernández, Alberto y María Fernández Valentí: Guía rápida de identificación y actuación ante alarmas sociales por picaduras de mosquitos. revista Higiene y Sanidad Ambiental, No 13, pp 918-924, 2013.

– Klotz, John H. (et alteri): Adverse reactions to ants other than imported fire ants. Annals of Allergy, Asthma & Immunology, Vol. 95, Nov., 2005, pp 418-425.

– Lisbona, J: El otoño reactiva las picaduras de ácaro rojo y alerta a médicos y veterinarios. El Heraldo de Aragón, 14-10-2014.

– Marín, José: Culicoides en Extremadura (blog), http://culicoidesenextremadura.blogspot.com.es/

– Sánchez Murillo, José Marín; Jesús Manuel Crespo Martín, Javier Lucientes Curdi, Diego Peral Pacheco y Pedro María Alarcón-Elbal: La garrapata de la paloma Argas reflexus (Fabricius, 1794) (Ixodida: Argasidae). Primera cita en Extremadura (España) e implicaciones en el ámbito de la sanidad animal y la salud pública. Revista Ibérica de Aracnología, No 23, pp 103–108, 31/12/2013.

– Santamaría, Erika; Olga Lucía Cabrera, Yaneth Zipa, Cristina Ferro, Martha Liliana Ahumada, Raúl Hernando Pardo: Diagnóstico preliminar de la molestia sanitaria causada por Culicoides(Diptera: Ceratopogonidae) en el departamento de Boyacá, Colombia. Biomédica (revista del Instituto Nacional de Salud), Vol 28, No 4, Bogotá, 2008.

– Serrano Barón, José Luis: Neotrombícula autumnalis: un parásito a tener en cuenta. Argos Portal Veterinaria, 2014.

– Vera, Cristina Irene, Tomás Orduna, Alcira Bermejo, Viviana Leiro y Esteban Maronna: Dermatosis por picaduras de cimícidos (chinches de cama). Dermatología Argentina, Vol 18, No 4, 2012.

3 comentarios en “Picadores

Deja un comentario

Este sitio utiliza Akismet para reducir el spam. Conoce cómo se procesan los datos de tus comentarios.