Carlos Pradera, Barcelona, 07-06-2025
El pasado mes de mayo ha sido interesante en cuanto a coleópteros xilófagos. Estamos en primavera, época de aparición de carcomas de la madera que se extiende hasta mediados del mes de agosto.
El primer caso que me llegó fue gracias a mi compañero Francesc Xavier Martínez. El 21 de mayo un cliente le comentó que estaban apareciendo coleópteros en el interior de un local en Begur (Girona). Lo identificamos como Phymatodes testaceus, especie que suele aparecer en leñeros en madera de encina, roble o similares. Le comenté que buscara si el cliente tenía leña y que la sacara del local. En efecto, este fue el origen. Especie abundante que vuela de marzo a julio y está distribuida por gran parte de la península Ibérica, faltando datos para el sureste [1]. Es nativa de Eurasia y fue introducida en América del Norte donde se ha aclimatado [2].
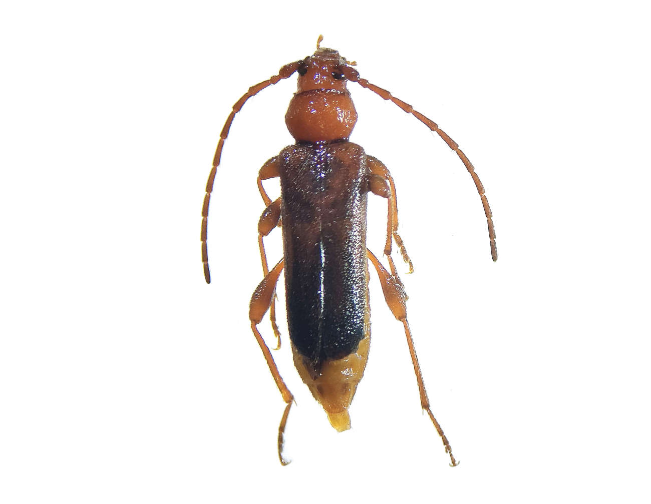
Le pedí a Xavier que me guardara unos ejemplares. Fueron dos hembras y dos machos. En la imagen número 1, se puede ver una de las hembras. Se trata de una especie relativamente frecuente, porque no hay año que no me llegue un caso [3]. De hecho, le dediqué la tercera entrada de este blog cuando empecé en junio de 2012 [4]. Ataques sobre madera puesta en obra, me ha llegado alguno. Parece que también prolifera en madera de pino, aunque tiene preferencia por frondosa. Los adultos miden entre 7 y 17 mm y necesita de 1 a 3 años para completar un ciclo [2].
El segundo caso fue gracias a mi compañera Lorena Piñero quien encontró una infestación de pequeñas carcomas en leña decorativa en un cliente situado en la parte sur de Barcelona. Recolectó una muestra y la identificamos como Trogoxylon impressum [4]. En las imagen número 2 se puede ver los ejemplares recolectados por Lorena. Los líctidos se caracterizan por tener un cuerpo estrecho, lo cual facilita su identificación en primavera a través de fotografías. En la imagen número 3, se puede ver una representación de los ejemplares más grandes y más pequeños recolectados. Miden poco más de 1 mm de ancho. En las imágenes 4 y 5 se puede ver los agujeros de salida en los tizones infestados de este caso.
La primera vez que vi este líctido fue gracias a Adrià Miralles que tuvo un caso muy interesante en madera obrada de higuera [5]. Los líctidos no atacan cualquier madera, se especializan por unas especies concretas de frondosa. Atacan la albura de maderas con vasos de gran diámetro (>0,07 mm) y con contenido de almidón superior al 1,5% [6]. Conocida es la polilla del parquet (Lyctus brunneus) que tantos destrozos comete en suelos de roble. En la actualidad, poco tiene que atacar porque el parquet sintético es lo que abunda. Atrás queda la moda de la década de 1980 cuando lo normal eran maderas nobles en suelos.
Notas:
[1] E. Vives. 2001. Atlas fotográfico de los cerambícidos íbero-baleares. Argantia Editio, Barcelona. 287 p.
[2] Robert A. Haack. 2020. Cerambycid Pests in Forests and Urban Trees. 351-407. En: Q. Wang. 2020. Cerambycidae of the World. Biology and Pest Management. CRC Press, USA. 628 p.
[3] C. Pradera. 18-06-2024. Xylotrechus stebbingi y otros coleópteros xilófagos en un leñero de Cardedeu, Barcelona. El desinsectador y desratizador.
[4] C. Pradera. 26-06-2012. Carcoma Phymatodes testaceus (Coleoptera, Cerambycidae). El desinsectador y desratizador.
[5] C. Pradera. 18-09-2021. ‘Cuatro coleópteros líctidos de la fauna española’, por Joaquín Martín Diéguez (1959). El desinsectador y desratizador.
[6] José A. Rodríguez Barreal. 1998. Patología de la Madera. Ediciones Mundi-Prensa/ Fundación Conde del Valle de Salazar. 349 pp.




