Carlos Pradera, Barcelona, 18-06-2024
Para mí un leñero es un lugar interesante porque suele haber diversidad de artrópodos. Es especialmente interesante en primavera porque pueden aparecer coleópteros xilófagos que emergen de la madera. He de agradecer a Judit Fernández que guardara una muestra de insectos. Se encontró ante la problemática de una salida de coleópteros a principios del presente mes de junio. Ella consultó de qué se trataba y fue a parar su consulta a mi correo electrónico. Le expliqué que eran xilófagos que en interiores aparecían en la leña cortada del año anterior. En principio, no había que preocuparse de que pasara a algún elemento de madera de su vivienda. Además, no tenía madera estructural. Por tanto, esta situación no pasa de una problemática puntual.
Sin embargo, aproveché para ver si podía hacerme llegar una muestra de los coleópteros que habían aparecido. Ella recogió los que salieron entre los días 10 y 12 de junio y me los hizo llegar. Me quedé gratamente sorprendido por la variedad de xilófagos de cinco especies pertenecientes a las familias Cerambycidae, Bostrichidae y Buprestidae (figura 1). Solicité a Judit Fernández si me podía decir de que especie vegetal era la leña y su origen. Ella tuvo la amabilidad de hablar con quien le proporcionó la leña. Le dijo que el origen era en el Vallès Oriental y la madera era de encina (Quercus ilex) y olivo (Olea europaea). Esta es la relación de xilófagos de la muestra:
| Familia | Especie | N | Madera |
| Cerambycidae | Xylotrechus stebbingi | 21 | Frondosa |
| Phymatodes testaceus | 7 | Frondosa | |
| Bostrichidae | Bostrichus capucinus | 4 | Frondosa |
| Xylopertha praeusta | >200 | Frondosa | |
| Buprestidae | Coraebus undatus | 1 | Frondosa |
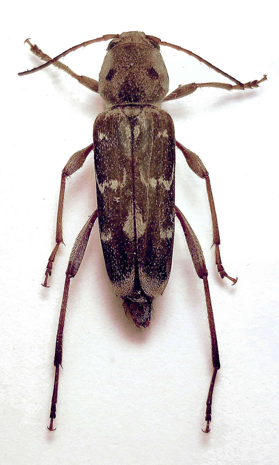
Son unos coleópteros preciosos. Uno no siempre tiene acceso a este material para poder apreciar su belleza. Empezaré por los cerambícidos. En este punto mencionar que ambos han completado su ciclo en la madera de encina. Sobre Xylotrechus stebbingi no puedo añadir nada a lo que escribí recientemente en una entrada (figura 2) [1]. Hay registros de esta especie tanto en Quercus como en Olea. Es una especie exótica y no está citado oficialmente para la provincia de Barcelona. Respecto a Phymatodes testaceus, tampoco dedicaré muchas palabras porque en junio de 2012 le dediqué una entrada en este blog (figura 3) [2]. Es habitual que aparezca en leña. No hay año que no me llegue alguna imagen en interiores de una situación similar.
Respecto a los bostríquidos, mencionar que ambas especies no son raras, especialmente la primera que se encuentra por toda la península Ibérica [3]. Los adultos de Bostrichus capucinus miden entre 5 y 16 mm de longitud y aparecen entre abril y septiembre. Su aspecto con los élitros rojos es característico (figura 4). Según Pablo Bahillo de la Puebla et al. [3], colonizan maderas muertas de especies de robles (Quercus) principalmente, pero también de haya, castaño, ciruelo, olivo, etc. En cuanto a Xylopertha praetusa, apuntar que era lo que más abundaba con más de 100 ejemplares. Algunos estaban destrozados, por lo que paré de contar al pasar de la centena. Siguiendo con la fuente bibliográfica de Pablo Bahillo de la Puebla et al. [3], los adultos tienen una longitud de 4 a 8 mm. Como se puede ver en la imagen número 5, hay un claro dimorfismo entre el macho y la hembra en la forma de la parte posterior de los élitros. Se encuentran por toda la península Ibérica. Las larvas se alimentan de madera muerta de diferentes especies vegetales de Quercus, aunque pueden también vivir en madera de higuera y otras frondosas.
En último lugar dedico un espacio a un bupréstido como es Coraebus undatus (figura 4). Tomo como referencia a un especialista como Antonio Verdugo en su obra dedicada a los bupréstidos de la península Ibérica y Baleares [4]. El adulto mide de 10 a 14 mm de longitud y está distribuido por toda la península. Los adultos aparecen de mayo a agosto. Completa su ciclo sobre madera muerta de los género Quercus, Fagus y Castanea. Por tanto, el origen de toda esta interesante fauna es la leña de encina.
Y para finalizar, queda por mencionar a los parasitoides. Por supuesto, tanto xilófago no podían aparecer solos. Junto a ellos están los himenópteros que completan su ciclo sobre las larvas. En la imagen número 6, se puede ver una hembra y un macho de una misma especie de Ichneumonidae. No sé qué especie es porque esta familia no es fácil. A veces, te encuentras con alguna especie característica y fácil de identificar. Como se puede ver, la hembra dispone de un largo oviscapto que introduce en grietas para colocar un huevo en la larva. También hay parasitoides de la familia Brachonidae. En la imagen número 7 se pueden ver ejemplares pertenecientes a dos especies diferentes. No quiero imaginar la larva de xilófago que está protegida y comiendo tranquilamente en la madera. De repente siente una punzada y le meten un huevo en el cuerpo. Ahí empezó el fin de su vida.
Notas:
[1] C. Pradera. 09-06-2024. Xilófago exótico Xylotrechus stebbingi (Coleoptera, Cerambycidae) en Marbella, Málaga. El desinsectador y desratizador.
[2] C. Pradera. 26-06-2012. Carcoma Phymatodes testaceus (Coleoptera, Cerambycidae). El desinsectador y desratizador.
[3] Bahillo de la Puebla, P., López-Colón, J.I. & Baena, M. 2007. Los Bostrichidae Latreille, 1802 de la fauna íbero-balear (Coleoptera). Heteropterus Revista de Entomología, 7(2): 147-227.
[4] Verdugo, A. 2005. Fauna de Buprestidae de la Península Ibérica y Baleares. Argania. 350 p.








