En la Península Ibérica se encuentran cuatro especies del género Cerambyx: C. cerdo, C. miles, C. scopolii y C. welensii. Dos especies, C. cerdo y C. welensii, están distribuidas por toda la península con adultos de una longitud de 25-62 mm para la primera y 25-65 mm para la segunda. En cambio, C. scopolii se encuentra solo en la mitad norte de la península con adultos de 15-28 mm. Y respecto a C. miles se cita como escasa con adultos de 25-42 mm [1].
Es común que cuando se encuentra un adulto de Cerambyx de gran tamaño sea atribuido a C. cerdo. Cuenta además con numerosas citas en la literatura científica. De hecho, si buscas en la bibliografía parece como si C. cerdo predominara por encima de C. welensii. En este punto, me da la sensación que podría suceder lo contrario y que C. welensii fuera más común, por lo menos en la zona en la que vivo en el noreste de la península [2]. No es fácil encontrar Cerambyx, ya que completan su ciclo en bosques maduros con árboles del género Quercus. Es cierto que en esta parte de la península ha aumentado mucho la masa forestal desde hace medio siglo por el abandono de tierras de labranza. Pero también es cierto que son bosques jóvenes y poblados por conífera.
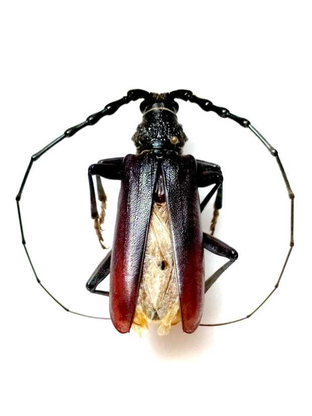
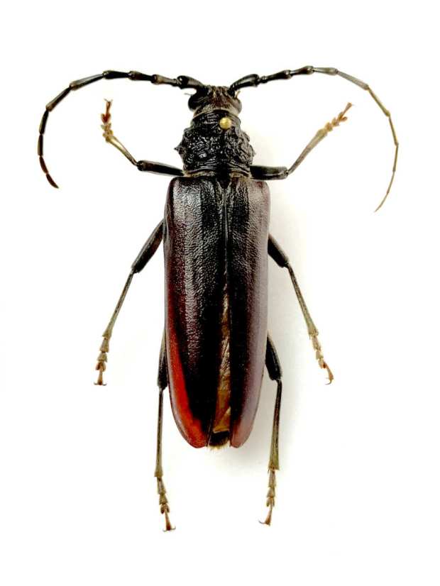
En esta entrada muestro ejemplares de C. welensii encontrados en la comarca de Osona con dos orígenes distintos. Por un lado, se pueden ver imágenes pertenecientes a tres ejemplares encontrados en 2019 y 2020 (figuras 1, 4-7). Hay un macho y dos hembras. Fueron encontrados casualmente en la época de aparición de adultos a principios de verano. Como se puede observar, han sido preparados. Este trabajo ha sido hecho por Roger Vila, responsable técnico de la división de control de plagas del Grup Gepork SA de les Masies de Roda.
Y por otra parte, muestro imágenes que me ha proporcionado Jordi Senmartí, responsable técnico de Senplag Santa Cecilia de Voltregà. En las imágenes 8 y 9, se pueden ver ejemplares que identifico como C. welensii atendiendo a las características de los élitros como explico más abajo. Estos ejemplares han sido recolectados mediante trampas de captura como las que se ven en las imágenes 10-12. Según me explicó, está realizando varios tratamientos en encinares que se encuentran delicados y que se quieren conservar. Además de las trampas para Cerambyx, realiza puntualmente tratamientos de endoterapia. Hago constar que Jordi Senmartí es una persona experta y es a quien recomiendo si alguien me pide consejo sobre tratamientos fitosanitarios. Desde hace años apuesta por tratamientos respetuosos con el medio ambiente, como métodos para eliminar las hierbas sin herbicidas y sueltas de depredadores y parasitoides.
Para diferenciar ambas especies, existen diversos criterios. En la obra clásica de Eduard Vives dedicada a los Cerambícidos [1], se dan las siguientes características en las claves del género (pág. 118). Para C. cerdo: «Élitros rugulosos chagrinados, fuertemente convexos, subcónicos hacia atrás, poco pilosos. Los 2 primeros artejos de los tarsos posteriores con la pubescencia plantar separada por una línea desnuda». Y para C. welensii: «Élitros finamente punteados, deprimidos en el disco, subparalelos, cubiertos de una pilosidad dorada y sedosa. Tan sólo el 1er artejo de los tarsos posteriores con la pubescencia dividida por una línea desnuda». Respecto al criterio de los tarsos posteriores que aparece mencionada en otras obras, implica que se tenga el ejemplar disponible. Es difícil que uno tenga una fotografía justo en la que se vea esta característica.
Ahora bien, una atenta observación de los élitros puede bastar. Esto e lo que nos enseña Ángel Martínez García en un magnífico artículo que dejó escrito en internet en 2010 [3]. De este artículo, tomo dos excelentes figuras en las que el autor coloca ambas especies e indica las características a tener en cuenta. En la imagen número 2, se pueden ver cuatro criterios que permiten la identificación. Estos son: color, forma del ápice, contorno de los bordes y pilosidad del extremo. De los cuatro criterios, para mí el más difícil es del del color porque no es fácil de apreciar en las fotografías. La posición de la luz incidente y el balance de blancos que realizan las cámaras lo ponen difícil.
En la imagen número 3, se puede ver otra excelente fotografía de Ángel Martínez en la que se muestran élitros de ambas especies. Como se puede observar, la forma del ápice es diferente. En C. welensii la punta es redondeada y tiene una pequeña punta. En cambio, en C. cerdo la punta es plana. También se aprecia claramente la pilosidad como si de un polvillo se tratara. Esta pilosidad es un buen detalle que se observa bien en algunas fotografías. Por otra parte, en esta especie los élitros son subparalelos en los dos primeros tercios, mientras que en C. cerdo empiezan a convergir hacia la mitad.
Notas:
[1] Eduard Vives. 2000. Coleoptera, Cerambycidae. Museo Nacional de Ciencias Naturales (CSIC), Madrid. Serie Fauna Ibérica, Vo 12. 716 pp.
[2] A fecha de enero de 2021 en la página de Biodiversidad Virtual (biodiversidadvirtual.org) las cuatro especies cuentan con las siguientes imágenes identificadas por expertos: 110 C. welensii, 88 C. scopolii, 86 para C. cerdo, 2 C. miles.
[3] Ángel Martínez García. 20-07-2010. Cerambyx cerdo & Cerambyx welensii: cómo diferenciarlos. Enlace: sites.google.com/site/elcerambyx/home/cerambyx-cerdo-cerambyx-welensii/cerambyx-cerdo-y-cerambyx-welensii (Consulta: 10-01-2021).











