Carlos Pradera, Barcelona, 27-08-2024
Recientemente pasé un fin de semana en la Ribagorza, una de las zonas de los Pirineos que más me gusta. Se encuentra a caballo de dos provincias, Huesca y Lleida. Fue uno de los tres condados que dio lugar al Reino de Aragón. Está poblado de magníficas iglesias románicas. Se sabe poco de su interesante historia. Lingüísticamente era rica y compleja puesto que se hablaba el aragonés y el catalán y había hablas de transición. Además en contacto directo con el occitano.
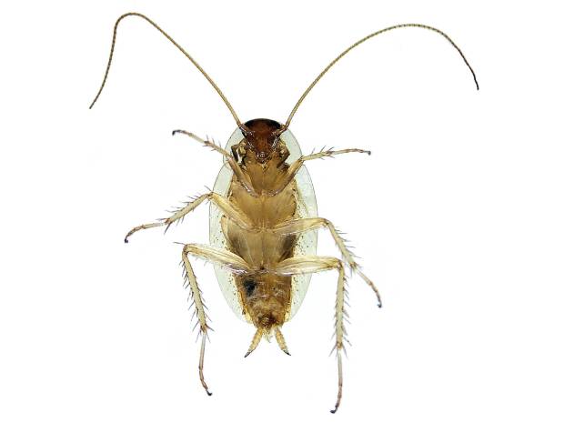
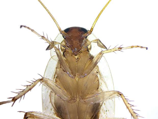
Por tanto, pasar unos días en verano es un lujo. Desde hace años planto la tienda de campaña en un cámping en Castilló de Tor (Lleida). En la zona cada año observo las cucarachas silvestres del género Ectobius. La especie común es E. pallidus [1]. En las imágenes 2-4 se puede ver una hembra en vista dorsal y ventral que capturé en la propia tienda de campaña atraída por la luz. Sin embargo, me esperaba una sorpresa. Cerca del lavabo vi una hembra del género Phyllodromica (figura 5). Aquí se complica la identificación porque tenemos en la península Ibérica más de 40 especies y muchas son endemismos [2]. Se trata de un género de cucarachas distribuido por Europa, Asia y África con cerca de un centenar de especies descritas.
Estuve buscando en el cámping si encontraba más ejemplares de este género, pero no encontré. Sin embargo, en uno de los lugares que visité tuve la suerte de encontrar individuos de otra especie de Phylladromica. Esto fue cerca de Espés, población perteneciente al municipio de Laspaúles (Huesca) en un bosque de pino serrano (Pinus sylvestris) (figura 1). En el suelo abundaba el musgo y mucho resto vegetal. Vi correr una cucarachita y la atrapé (figura 6). Luego buscando pude atrapar otros individuos (figuras 7-9). Estuve un rato buscando por la zona. Vi principalmente ninfas, pero no eran abundantes. Lo que destacaba eran obreras de Formica rufa que provenían de un hormiguero del que tomé un foto (figura 11). Me encantan las Formica que construyen domos.
En mi casa, con la lupa binocular observé las Phylladromica de Laspaúles y la de Castilló de Tor. Vi claramente que eran dos especies diferentes. En la imagen número 10 se puede ver la pata media de ambas especies. El número, posición y dirección de las espinas son muy diferentes. En esta tesitura, teniendo la dificultad de la identificación, pedí ayuda a Álvaro Pérez Gómez, una de los entomólogos experto en cucarachas [3]. Me confirmó que se trataba de dos especies. Las que encontré en Laspaúles son Phyllodromica chopardi, cuya coloración es característica. Sin embargo, la otra especie habría que observarla a la lupa. En este punto, le mandaré la muestra y saldremos de dudas.
Notas:
[1] C. Pradera. 24-06-2022. Ectobius pallidus (Blattodea, Ectobiidae) en los lavabos de un cámping de montaña. El desisnectadory desratizador.
[2] Felipe Pascual Torres. 2015. Clase Insecta, Orden Blattodea. Revista IDE@ (SEA), 48: 1-13.
[3] Pérez- Gómez, Á., M. León-Osper, D. Pareja & J. Robla. 2023. Flower visits of cockroaches (Insecta: Blattodea) in the Iberian Peninsula: Are they neglected pollinators? Journal of Applied Entomology, 147(8): 565-576.











me ha parecido muy interesante tu relato y comentarios, con un lenguaje accesible, ameno y muy natural. Gracias.