C. Pradera, Barcelona, 04-05-2022
Hace un par de semanas hice un tratamiento contra cucarachas en un cliente situado en Gavà, Barcelona. Como curiosidad, apuntar que en las instalaciones del cliente hay Blatta orientalis y Periplaneta americana. Sin embargo, la primera ocupa un pequeño espacio. Y la segunda, lógicamente, va en aumento y tiene mayores implicaciones puesto que es más caminadora y aparece en pisos superiores.
En la imagen número 1, se puede ver uno de los espacios a controlar donde encontré ninfas de P. americana detrás de las cajas de cartón que están en contacto con el suelo. Como sabemos, en un espacio afectado por cucarachas, es recomendable que los objetos no toquen el suelo ni las paredes, es decir, que estén en estanterías. Y más cuando es material orgánico aislante y que absorbe humedad. Al mover la cajas, vi un pequeño coleóptero que salió volando. Me extrañó que estuviera en este espacio y lo perseguí hasta cazarlo.
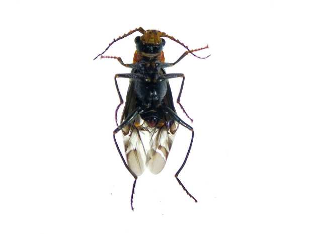
Con la lupa de bolsillo vi que era un maláquido. Esta familia de coleópteros la reconozco por su forma y coloración. Muchas especies comparten colores oscuros con claros, tonos turquesa con naranja. Además dediqué una entrada a Hypabaeus flavicollis, un depredador de las carcomas que se puede encontrar en interiores. Así que me costó poco identificarlo como un macho de Clanoptilus marginellus. La longitud del ejemplar es de 6-7 mm de longitud.
Esta especie debe de ser común, puesto que le dedican una ficha en la ‘Guía de los coleópteros de Europa’ de Albouy y Richard [2]. Lo definen como presente en gran parte de Europa y «común sobre flores, gramíneas y arbustos en prados y otros lugares herbosos y bien soleados». El cliente se encuentra en un polígono industrial que tiene zonas ajardinadas cercanas. Puede perfectamente ser el origen del adulto.
Las larvas depredan «pequeños insectos con los tegumentos blandos». En el espacio donde encontré el adulto había pececillos de plata del género Ctenolepisma. También había ninfas de cucaracha, pero me da que son demasiado grandes y se mueven rápido. Creo que la larva de maláquido necesita una presa que no se escape con facilidad y que sea pequeña. Tampoco creo que los estadios iniciales de Ctenolepisma sean ideales. En resumen, dejo constancia de este bonito encuentro en interiores. Seguiré observando.
Notas:
[1] C. Pradera. 24-08-2018. Escarabajo depredador Hypabaeus flavicollis (Melyridae, Malachiinae). El desinsectador y desratizador.
[2] Vincent Albouy & Denis Richard. 2019. Guía de los coleópteros de Europa. Omega, Barcelona. 400 pp.




