
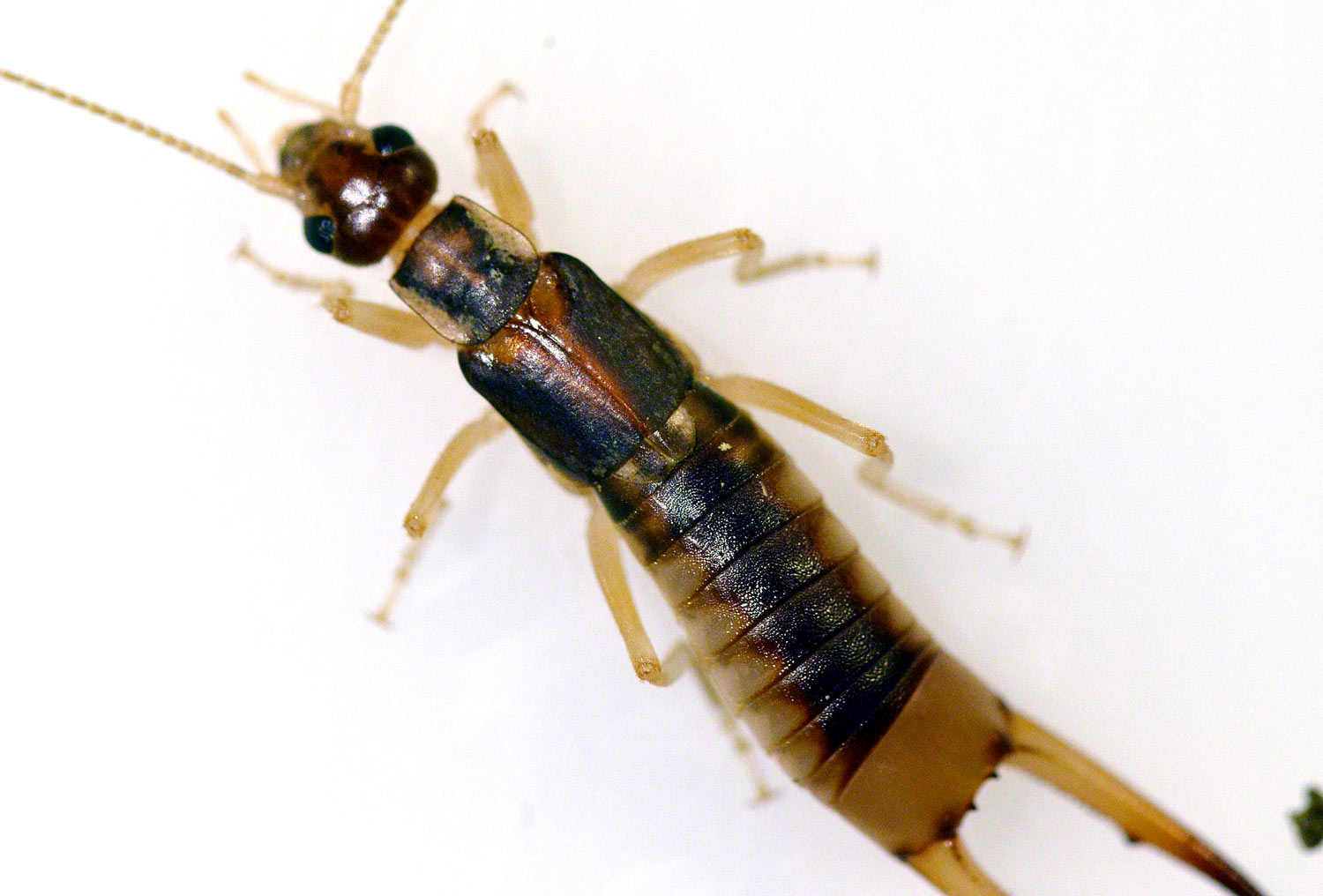
Fig 1. Macho de Labidura riparia./ Desinsectador 05-2018
En esta entrada publico unas imágenes de machos y hembras adultas de la tijereta Labidura riparia. El pasado mes de mayo recogí ejemplares junto a la orilla del Embalse de Talarn, Pallars Jussà (Lleida) a 560 m de altitud. Se trata de una especie común que abunda cerca de lagos, ríos y el mar. Es de gran tamaño, hasta 3 cm los adultos. Tiene hábitos nocturnos y es depredador de otros insectos. Tiene una distribución cosmopolita. Como se puede ver en las imágenes tiene un aspecto bien característico. El macho se caracteriza por tener los fórceps de mayor tamaño que los de la hembra.

Fig 2. Macho de Labidura riparia./ Desinsectador 05-2018

Fig 3. Macho de Labidura riparia./ Desinsectador 05-2018

Fig 4. Fórceps de un macho de Labidura riparia./ Desinsectador 05-2018

Fig 5. Hembra de Labidura riparia./ Desinsectador 05-2018

Fig 6. Hembra de Labidura riparia./ Desinsectador 05-2018

Fig 7. Hembra de Labidura riparia./ Desinsectador 05-2018

Fig 8. Hembra de Labidura riparia./ Desinsectador 05-2018

Fig 9. Hembra de Labidura riparia./ Desinsectador 05-2018
Publicado por desinsectador
En control de plagas desde el 2004.
Ver todas las entradas de desinsectador