Ahora es el momento de controlar la hormiga argentina, Linepithema humile (Hymenoptera, Formicidae)

Fig 1. Hormiga argentina (Linepithema humile) en una freidora de escuela./ C. Pradera 12-2016

C. Pradera, Barcelona, 31-12-2016

Ahora es el momento de acabar con ellas. O por lo menos, es el momento idóneo para menguar las huestes de hormiga argentina (Linepithema humile) y dejar sus ejércitos fuera de combate una temporada. Como bien sabemos, esta hormiga es originaria de una zona tropical del sur de América. No saben lo que son los rigores del invierno y su falta de alimentos. Es por ello que se han asentado bien en las zonas costeras de la Península Ibérica. Y más en concreto, en las ciudades donde no falta agua y las temperaturas son suaves. Así que, cuando aprieta el frío, la hormiga argentina se traslada al interior de edificios buscando refugio y alimento. Desde hace cosa de un mes, vengo observando cómo van cambiando de ubicación. Hay que tener en cuenta que la hormiga argentina es una hormiga vagabunda (tramp ant) y no tiene un hormiguero fijo.

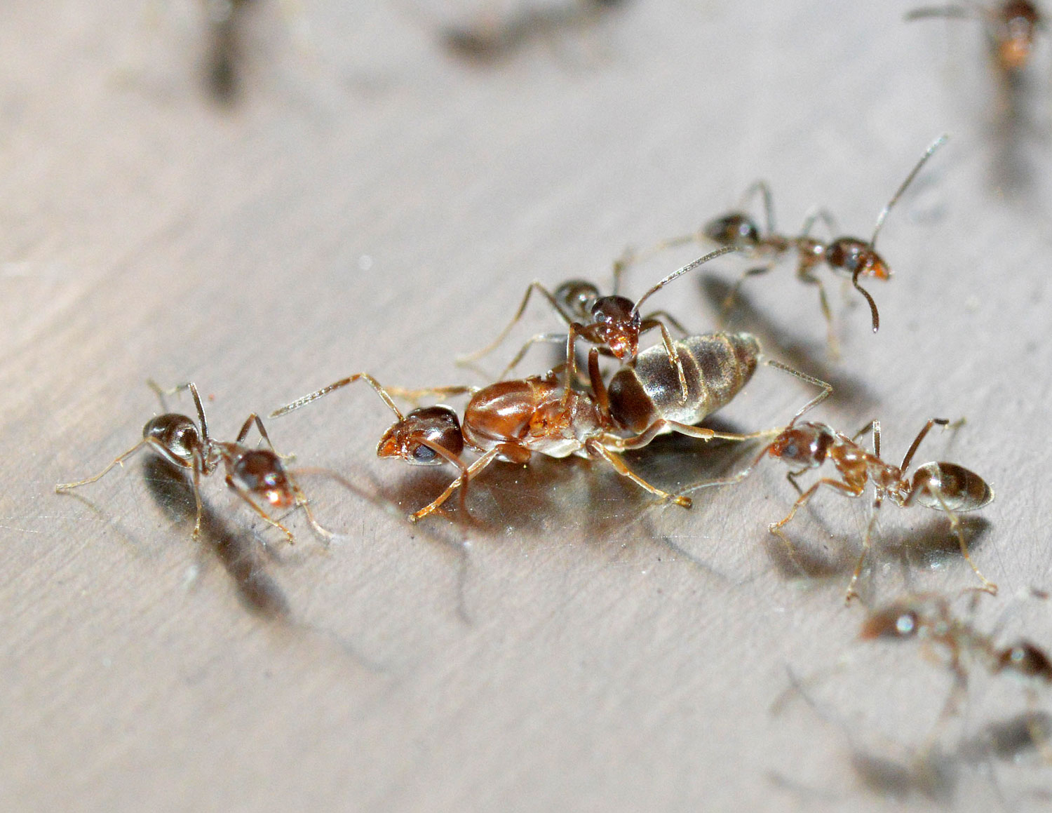
Hace unos días, nos llamaron de una escuela donde habían aparecido gran cantidad de hormigas. En ausencia de niños y profesores, debido a las vacaciones de Navidad, las hormigas se habían apoderado de aquel espacio. Una larga hilera de hormigas atravesaba la planta baja y se dirigía a la cocina en busca de provisiones. Lógico. Curiosamente no iban en busca de azúcares (hidratos de carbono) como hace en verano, sino en busca de proteínas y grasas. Claro que era lo fácilmente disponible en la cocina. La larga hilera trepaba por la freidora y se dedicaba a sorber lo que allí había. En la imagen número 1, se puede ver la esquina de la freidora ocupada por las hormigas. Ese aceite usado que el personal de cocina no retiró seguramente es rico en proteínas. Un  lujo para la hormiga argentina.

Fig 2. Hormiga argentina (Linepithema humile) en una freidora de escuela./ C. Pradera 12-2016

Según estudios realizados, la hormiga argentina tiene unos requerimientos energéticos diferentes dependiendo de la época. En verano e invierno, las obreras recolectan más hidratos de carbono. Y en primavera y otoño, más proteínas y grasas. Algo parecido sucede con las otras especies de hormigas. Se encuentra ligado a su ciclo de reproducción. Si tenemos en cuenta que la mayoría de cebos líquidos (geles insecticidas) están hechos a base de melaza, si queremos tener éxito en su control, es bueno saber en qué época necesitarán más hidratos de carbono. Es por ello que con la hormiga argentina podemos aplicar un gel en primavera y que no resulte eficaz. Esto no significa que no sea un buen gel, sino que no lo hemos utilizado del todo bien. Hay que añadir que esta información nos la debería proveer el fabricante o proveedor. Pero, por desgracia, en nuestro sector impera el oscurantismo. Y uno aprende a base de golpes. A veces el oscurantismo es ignorancia del fabricante. Pero en algunas ocasiones, el oscurantismo, desgraciadamente, es buscado.

En consecuencia de lo escrito en el anterior párrafo, ahora sería el momento en que los geles deberían funcionar bien. Y si tenemos en cuenta de que la hormiga argentina se va a concentrar en el interior de viviendas, ejercer un control sobre ella no debería ser difícil. Así que si tienes un cliente con esta especie y tu cliente te llama, sonríe porque es un buen momento para liberarlo de tan tremenda plaga. En esta época, a todas las empresas de control de plagas nos baja la carga de trabajo. Yo recomiendo que aproveches bien el momento. Visita a tu cliente varias veces hasta conseguir la reducción de la hormiga. Y, sobre todo, párate el tiempo que sea necesario para aprender y disfrutar. Un rasgo característico de esta época es que en las hileras se pueden ver numerosas reinas. Como bien sabemos, es una especie poligínica. Yo aproveché en este tratamiento para tomar algunas fotografías de tan interesante hormiga. En la imagen número 3, se puede ver una reina rodeada de obreras. Esta reina, en primavera, será sacrificada por las obreras en un comportamiento que, por el momento, no se sabe a qué se debe. Se produce una renovación total de las reinas.

Fig 3. Hormiga argentina (Linepithema humile) en una freidora de escuela./ C. Pradera 12-2016

Los geles funcionan porque esta hormiga tiene un buche antes del estómago que es conocido como estómago social. El 90% de lo que entra en el hormiguero es líquido transportado en este buche. Así que si el cebo que les ofrecemos es ingerido por las obreras, cada obrera podrá alimentar a otras obreras, reinas y larvas (trofalaxia). Es muy interesante para el control de hormigas saber hasta cuántas obreras puede alimentar una obrera que lleve comida en su buche. Este dato sería muy interesante que lo tuviéramos quienes nos dedicamos al control de plagas. Pero, ¿por qué no lo sabemos? Pues me da que por el oscurantismo de los fabricantes, porque bien se hacen estudios de eficacia al respecto. Estaría bien que alguna vez nos dieran datos objetivos y dejaran de ofrecernos fabulosas gráficas de eficacia diciendo que su producto es fabuloso.

Para acabar, comentar que en solo dos ocasiones he podido controlar casi en la totalidad a esta hormiga. Y en ambas ocasiones, el tratamiento fue realizado en invierno. La más espectacular fue en un teatro de barrio donde se hacían representaciones en fin de semana. El suelo quedaba lleno palomitas, chucherías, restos de bocadillo, etc. Un festín que durante el resto de la semana las hormigas ingerían. Corrían en grandísimas hileras por todos partes. Se programó un tratamiento con dos aplicaciones separadas por unos 30 días. En aquella época, en la empresa donde trabajaba, se utilizaba Victor Gel Hormigas (con imidacloprida al 0,01%) de MYLVA. Apliqué en numerosos puntos. Gasté un bote de gel, unos 30 gramos. Y no me fui del todo convencido. Al cabo del mes, cuando regresé al cliente, lo primero que me dijo es: «¿Qué has hecho con las hormigas? Ya no hay.» En fin.

Bibliografía:

– Abril Meléndez, S. 2008. Estudi d’aspectes biològics de la formiga argentina (Linepithema humile, Mayr) encarat al control de la plaga en ecosistemes naturals. Tesis Doctoral. Universitat de Girona. 136 p.

– Gómez, K. & Espadaler, X. 2004. La hormiga argentina. Estado del conocimiento e implicaciones de la invasión para las Islas Baleares. Listado preliminar de las hormigas de las Islas Baleares. Conselleria de Medi Ambient, Govern de ses Illes Balears. 88 p.

Fig 4. Hormiga argentina (Linepithema humile) en una freidora de escuela./ C. Pradera 12-2016

Fig 5. Hormiga argentina (Linepithema humile) en el suelo de una escuela./ C. Pradera 12-2016

Fig 6. Hormiga argentina (Linepithema humile) en el suelo de una escuela./ C. Pradera 12-2016

Fig 7. Hormiga argentina (Linepithema humile) en el suelo de una escuela./ C. Pradera 12-2016

4 comentarios en “Ahora es el momento de controlar la hormiga argentina, Linepithema humile (Hymenoptera, Formicidae)

  1. danilobo84 dijo:
    Avatar de danilobo84

    Curioso, buen post.

    Una duda que me surge. ¿ hay una cantidad exacta que debamos aplicar? En geles de cucarachas hay más claridad en las instrucciones de uso. O al menos eso me ha parecido. «Tantos gramos por metro cuadrado».

    ¿Pero en hormigas?

    Me ha dado la sensacion de necesitar más cantidad de gel para exterminar hormigas que en el caso de las cucarachas. En infestaciones altas de hormigas necesitas medio tubo mínimo. Al precio actual de estos geles. .. ( esto dá para otro post).

    • desinsectador dijo:
      Avatar de desinsectador

      Totalmente cierto. En el caso de la hormiga argentina, estamos hablando de colonias con muchos individuos. Si sumáramos la masa de todas la que pueden venir a comer, superaría la masa de cucarachas que tenemos en una cocina. Por otra parte, las cucarachas no comen hasta saciarse del todo. Ellas viven cerca de sus fuentes de alimentación y toman lo que necesitan. Están cerca. La hormigas se trasladan más lejos y deben recoger el máximo porque no solo se alimentan las obreras recolectoras de ello,sino todas las demás hormigas que quedan en la colonia: obreras, larvas, reinas.

  2. davod dijo:
    Avatar de davod

    Buenos días
    En primer lugar, enhorabuena por sus posts y por la forma en la que trata los temas porque, se hace muy sencillo para las personas que no conocemos este mundo.
    Tengo hormigas argentinas en mi jardín y, a veces, en mi casa. Las he tratado con maxforce y ahora mismo con advion que les gusta mucho más. Leyendo otro post, entendí que en mayo hacen larvas y transportan, pero en mi caso, ahora mismo, septiembre he encontrado un reguero inmenso en el que van con larvas y el gel no lo hacen caso. Puedo hacer algo en este caso? Es normal que transporten ahora larvas?
    Muchas gracias anticipadas.

Deja un comentario

Este sitio utiliza Akismet para reducir el spam. Conoce cómo se procesan los datos de tus comentarios.