C. Pradera, Barcelona, 10-07-2023
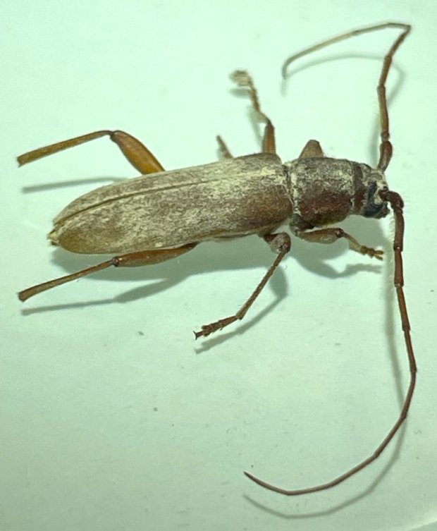
Dedico esta entrada a un cerambícido raro que ataca la madera puesta en obra. Esto es gracias a mi amigo Jordi Ruiz de Biotrack [1], quien me pasó las fotos de un individuo que se había encontrado en una habitación de hotel que estuvo cerrada unos años. Se encontró un único individuo de Stromatium unicolor (=Stromatium fulvum) (figuras 1, 4 y 5). Estaba cerca de una mesa afectada en la que había un claro agujero de salida del que cayó serrín (figura 2). Aunque yo conocía la existencia de esta especie por la bibliografía sobre madera, nunca me he encontrado con este coleóptero. Es por ello que aprovecho las imágenes que me proporciona Jordi Ruiz para dejar constancia.
Eduard Vives, en su ‘Coleoptera, Cerambycidae’ de 2000 [2], da como longitud del cuerpo de 16 a 35 mm con una coloración «amarillenta mate y a veces rojiza». Lo que se puede ver en las imágenes es un macho, ya que tiene las antenas largas que sobrepasan el cuerpo. La larva es muy polífaga y ataca maderas muy secas de frondosa. Según Vives, las larvas pueden perforar galerías durante 15 años antes de emerger como adulto. Vuelan de junio a octubre durante el día. Y puede ser atacado por Scleroderma domestica.
En otra obra titulada ‘Atlas fotográfico de los cerambícidos íbero-baleares’ [3], Eduard Vives nos da una lista de especies de árboles atacados: Ficus, Ceratonia, Castanea, Carya, Citrus, Alnus, Tilia, Carpinus, Pistacia, Cytisus, Eucalyptus, Morus, etc. Además ataca madera puesta en obra y de mobiliario. Vives menciona «madera seca de los embalajes».
Respecto a su distribución, se lo califica de subcosmopolita donde se ha aclimatado a los países cálidos. Tiene un origen en el Mediterráneo, donde se encuentra bien adaptado al ambiente seco de península y Baleares. Según Vives, no se encuentra en los Pirineos ni en la cornisa cantábrica (figura 3). Es la única especie de su género en la península.
Si nos vamos a la literatura sobre protección de la madera, esta especie es tratada por José Antonio Rodríguez Barreal en su ‘Patología de la madera’ de 1998 [4]. Este admirado investigador explica que se encuentra en todo el Mediterráneo, donde puede atacar la albura de frondosa de especies como nogal, olmo, haya, plátano, etc. Los imagos «emergen de la madera por orificios elípticos de 6 mm viviendo en el exterior de ésta entre 8 y 15 días período en el que aparean, preferentemente durante la noche». También informa de que «las hembras realizan puestas de hasta 150 huevos de los que a los 15-20 días salen las larvas, las cuales pasan en el interior de la madera entre 3 y 5 años».
Notas:
[1] Biotrack, control sostenible de plagas: biotrack.es
[2] Eduard Vives. 2000. Coleoptera, Cerambycidae. Museo Nacional de Ciencias Naturales (CSIC), Madrid. Serie Fauna Ibérica, 12. 716 p.
[3] Eduard Vives. 2001. Atlas fotográfico de los cerambícidos íbero-baleares. Argantia Editio, Barcelona. 287 p.
[4] José A. Rodríguez Barreal. 1998. Patología de la madera. Mundi-Prensa y Fundación Conde del Valle de Salazar, Madrid. 260 p.




